KronosFlow

KronosFlow

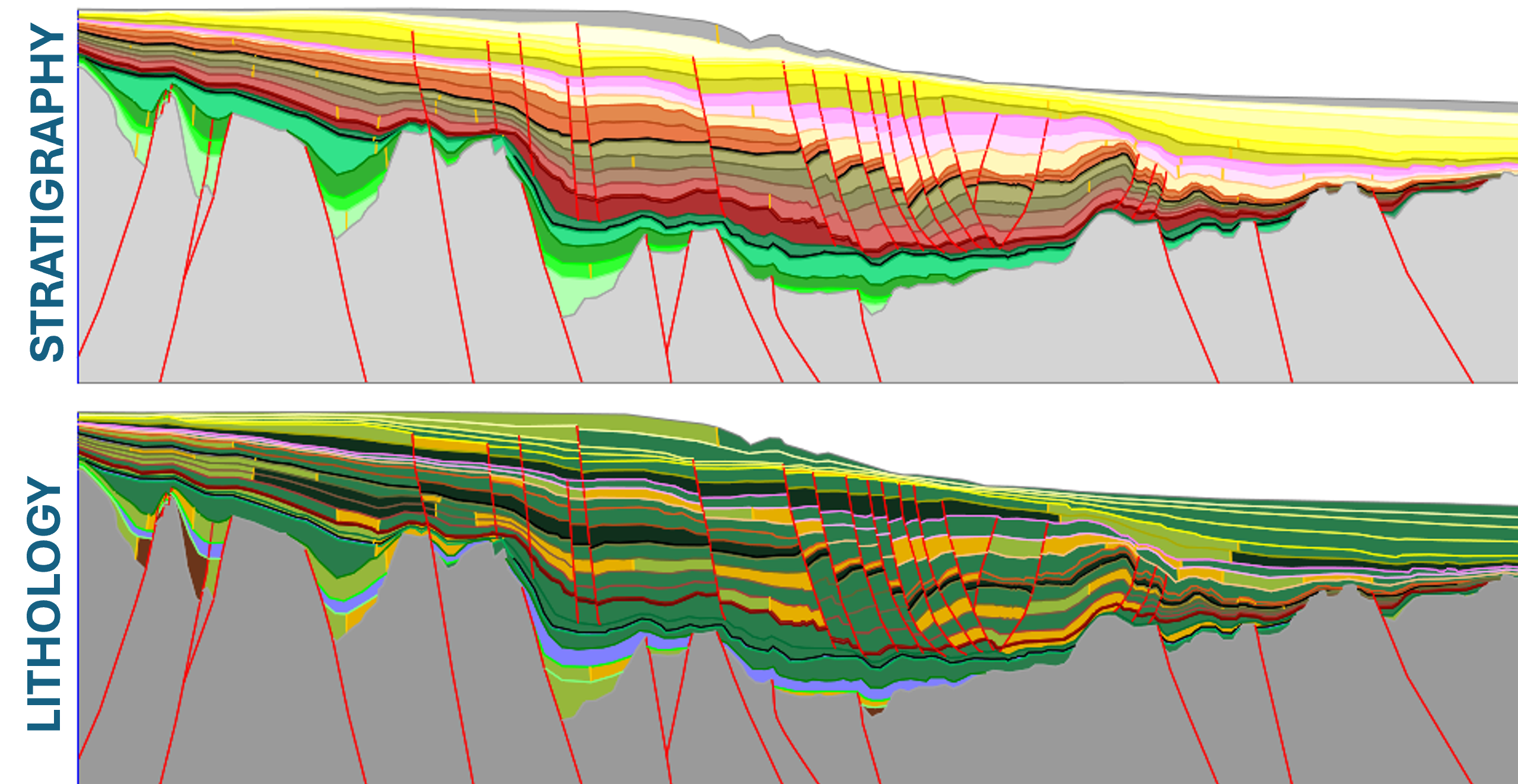
2D Kinematic Restoration​ for Non-Obvious Sections

KronosFlow, the kinematic restoration modeling solution from Beicip-Franlab

Unlocking basin modeling in foreland and structurally complex geological areas, KronosFlow is the mandatory tool to easily and efficiently produce 2D kinematic scenarios to assess your ressources.

Main features

Honoring the structural complexity of a basin without compromising the quality of the modelling.

Model Building

Thanks to dedicated digitalization tools, generating the section to restore and populate it with facies is seamless. Easy import from seismic template or third-party software and global ergonomic is the key aspect of this step.

Restoration Process

An extensive list deformation engine is available to restore step by step your  geological model.  Each modification is tracked, and the different assumptions are managed thanks to the scenario manager.

Layering

Structuralist provide section based on key horizons. KronosFlow with its dedicated tool to insert layers in the model allows to refine the layering complexity to integrate source or reservoir levels.  Several type of layering and automatic restoration are available.

Filling The Gap

Geological valid restored scenario can be used for Basin Modelling assessment directly. No simplification needed anymore to answer resources assessment.

KronosFlow is flawless to help answer your objectives.

0

years of innovation

0

projects

0

countries

0

clients

Multiple built in tools to help build, calibrate, and visualize results

Pre-processing tools built to help build restoration scenario’s and keep track of the different hypothesis, as well as post processing and calibration tools tailored for structural restoration and basin modeling in complex domain.

  • Kinematic deformation engine
  • Geochemical IFPen and BP libraries
  • Facies libraries
  • Advanced Reporting tool
  • Automatic calibration (with CougarFlow)
  • Risk and sensitivity analysis (with CougarFlow)

A strong integration tool

KronosFlow is the restoration tool that allows better integration between structural geology and basin modeling

No more concession is done to answer your resources assessment in foreland basin or structurally complex areas.

The Bridge is Built

Providing restored geological scenario through a seamless tailored link with TemisFlow® for basin modelling purpose. The bridge is now built you just need to take the right path.

Ergonomic and Easy

Making complexity more simply. We all know that software for specialist are not the most ergonomic tool. However, KronosFlow addresses this issue since its first version. For the development team and our testers, ergonomic is a critical criteria in KronosFlow.

Restauration Tool

You need a versatile tool to restore your section ? Your geologist is not a structural expert ? Your opportunities are in complex area ? KronosFlow is able to help your geologist to create kinematic restored section in any structurally complex setting thanks to its large catalogue of deformation engine.

Fault Analysis

Fault displacement through time is a key element to understand the filling and the sealing of traps. KronosFlow thanks to the scenario manager allows  to test several fault history and unrisk your lead and prospect.

CCS and Geothermal in Complex Domain

Ready solution to assess the CCS and Geothermal potential for the geological complex region.Thanks to the direct link to TemisFlow all the needed tools are available for the assessment of your model.

Seamless Link to Risk and Sensitivity Analysis

With CougarFlow®’s innovative proxy modelling approach, efficient and effective risk and sensitivity analysis can be seamlessly performed, with results generated in many forms including well trajectories.

Software webinars and videos

Empower your basin data with KronosFlow

Advanced capabilities used on over 600 projects in over 80 countries to tackle challenges with your basin data

Unified Database

Store all your wells and maps in a dedicated common place to build your geological model with different scenarios.

Support & Training

A world-class support and training provider, Beicip-Franlab is proud to share its technology and knowledge with all its clients worldwide. Our multidisciplinary teams with experts are ready to tackle your challenges.

Cluster & Local Configuration

Creating your geological model in a flight ? TemisFlow can be used on a laptop and you can perform your simulation. Need more power, TemisFlow can be used with dedicated machines on the cloud and cluster to perform very detailed models and simulations.

Tailored Developments

A need ? A specific functionality in the software ? Our software managers and their development teams are open to your suggestions. Do not hesitate to ask.

Download

THE LATEST VERSION





    * required fields